MONROE
COUNTY COMMUNITIES
Reproduced herein with
the approval of Monroe County Historical Society
Copyright 2010 Elizabeth Robertson
The City of Culloden
Berner
Blount
Bolingbroke
Boxankle
Brent
Cabaniss
Collier Station
Dame's Ferry
Dyas
Eleanor
Forsyth High Falls
Johnstonville
Juliette
Maynard Community
Pope's Ferry
Russellville
Smarr
Strouds
THE CITY OF CULLODEN

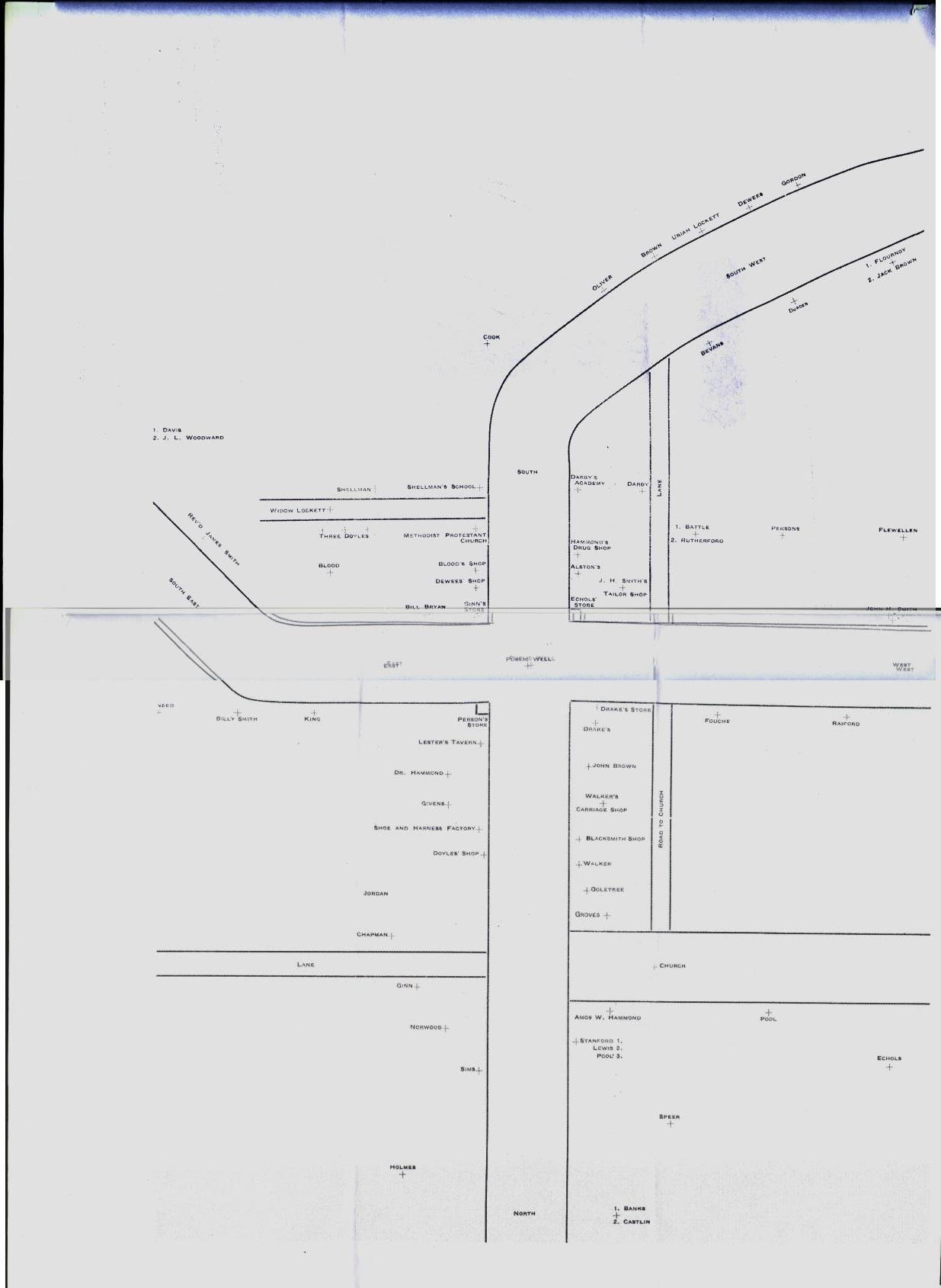
MAP OF CULLODEN 1909 LISTING RESIDENTS.

The southern most tip of Monroe County is encompassed by the small Culloden community which has for about 190 years contributed its proud share to the state in which it is located. While it was not until 1821 that the Creek Indians, by treaty, gave Monroe County its territory, the history of Culloden goes farther back than that to 1739,a few years after the settlement of Savannah by General Oglethorpe. It was then that English, Irish and Scotch families moved farther west, where the Creek Indian trails crossed from Columbus to Indian Springs and Alabama to Augusta. Culloden occupies that spot and descendants of those settlers live there today. With scarcely a change those old Indian trails are state highways today.
In 1780 William Culloden, a Scotch Highlander, began merchandising there. By this time many wealthy Virginia planters with many slaves had moved to the community. Culloden's store became the trading center and post station for the stage coach lines and it was in honor of him that the town received his name. At his death he was buried in Culloden, where his marked grave can be seen now. The Methodist Church built in 1802, burned before it could be occupied. Its successor, a church built of local brick in 1809, was rebuilt in 1832, a two story brick building was erected on the grounds now known; as the New Culloden cemetery. The ground floor was used as a boys' school and the second story as the Methodist Church. Later this church was rebuilt in 1893 on the site on which it now stands. It is the oldest brick church in Georgia and probably the oldest Methodist Church of any type being used as such today.
Culloden was early a seat of learning. Culloden Academy was chartered in 1830, Culloden Female Academy in 1834, and Culloden Male and Female Academy in 1837. It is interesting that the organization of the county and the establishment of these schools was simultaneous. The schools which did the most to establish the excellence of reputation were the Mason school for boys in the same building as the Methodist Church and the Darby School for Young ladies which stood on the site now occupied by Rev. Albert Parker. The girls' dormitory was across the street on the Wilson property. The first school was headed by Mr. Marvin Massey Mason from New England and later by John Darby of Macon. He was an author and discoverer and manufacturer of the famous Darby's Prophylactic Fluid.
From these most excellent schools, and many times with little other instruction, came a group of men and women who functioned in many high places. I know of no community, of anything like equal size in the United States that surpasses Culloden in the number of its sons who have been enrolled among those who acquired celebrity in the pulpit, on the bench, at the bar, in statesmanship and in other high public walks. Among these were the following: Thomas Manson Norwood, the first Democrat from the South who was seated in the U. S. Senate after the close of the Civil War; James Milton Smith, Speaker of the House and Governor of Georgia; Thomas J. Simmons, Chief Justice of the Supreme Court, President of the Senate; Robert P. Trippe, Associate Justice of the Supreme Court and Congressman; Alexander M. Speer, Associate Justice of Supreme Court; Emory Speer, Judge of the U. S. District Court and Congressman; Nathaniel J. Hammond, Congressman and Attorney General of Georgia; Edward A. Flewellan, chief surgeon and physician on the staff of the celebrated Confederate General Braxton Bragg; the consecrated brothers, Frank and Osgood Cook noted Methodist ministers; Benjamin G. Lockett, notable in financial circles in the North and in the South as the country's largest cotton planter; Samuel Rutherford, Congressman from the Sixth District. In more recent years, U.S. Fuller and the Holmes Brothers, Robert H. and C.A. were representatives in the Georgia legislature; Joe L. Fincher and Capens A. Holmes, Jr. have served their country in fields of action in England, France, Germany, Greece, Korea and have retired as Colonels in the army; H.D. Fincher made a name for himself in the cotton seed oil business in Texas and built a number of plants in South America; Frank H. Fuller excelled in the field of journalism and was "head of Virginia's Associated Press in Richmond, Virginia at the time of his death. In the field of medicine Dr. Alfred Blolock who discovered the blue baby treatment and was on the staff at Johns Hopkins, was born and reared in Culloden.
Culloden today is still located on those old Indian Trails, which are now better known as Highway 341 and 74. As 341 passes through Culloden it follows a ridge of the fall line; water that falls on the East side eventually finds its way into the Atlantic Ocean and that on the west into the Gulf of Mexico.
Culloden has an altitude of 750 feet, abundant rain fall and mild climate. The farm lands are the fertile oak and hickory lands.
Since the coming of the cotton's enemy, the boll weevil, the community is dotted with dairy farms, cattle ranches, peach orchards and perm into pepper fields. About 5000 gallons of milk are shipped to Atlanta daily.
Best of all, Culloden is a community of healthy, contented people, with just pride of ancestry, who have fought in all ( America's wars; of patriots, ever zealous for the common good of their town, their state and their nation. (by R. S. Pierson
In writing any history of Berner Community one must begin by recording the fact that in the early days of Monroe County all that area embracing the Fourteenth District was in the community of Gullettsville, apparently named for George W. Gullett who shows on the records as being a land owner if the area near the town of Gullettsville. The name of this town and community, late in the century was changed to “Cabiness”, being named for Judge E. G. Cabiness of Forsyth.
After the treaty with the Indians, whereby they were to move westward across the Mississippi River, all of this area of land was surveyed into land lots of 2021/2 acres and lottery drawings were held. In the beginning, to qualify for ones name to be placed on the eligible list, a payment of nineteen dollars was required. The records indicate that a majority of the land lots near the Ocmulgee River in the Fourteenth District were drawn by people from Savannah who apparently had no intention of settling on these lots but had entered the lottery merely as a matter of speculation.
Evidently the first settler in the area, later to become the Berner Community, was Douglas Watson. It was reported that he showed up in this area, prior to the treaty with the Indians as a government scout and that he made friends with Chief William McIntosh at Indian Springs, The Chief was reported to have given him some land near Sandy Creek but it is not known whether he settled the land at that time or whether it was after the treaty. During his lifetime he increased his land holdings until he became one of the largest plantation owners in this area, his land having been some three miles north of the later town of Berner and stretching east and west of the present State Highway No. 87. Some part of these lands now remain in the hands of Douglas Watson’s descendants.
In May 1824 David Allison of Wilkes County, Georgia bought land lot no. 86 about one mile north of the later town of Berner, this lot being along the present State Highway No. 87. In September, 1827 David Allison, as guardian of Owen J., John G., and George A. Willis, minors, petitioned the Wilkes County Court to transfer the court records of this guardianship to Monroe County, stating that he had already moved to Monroe County and had brought these minors with him.
It is not known what eventually became of David Allison but he soon disappeared from the scene. Evidently the three Willis boys were near twenty-one when they were brought to Monroe County because they soon acquired large plantation holdings south of the Watson lands and between what was later to become Berner and Cabiness. Owen J. Willis eventually moved on to Johnstonville and established his plantation there, leaving John G. and George A. Willis to own all of the Willis lands in two large plantations. The records show that John G. Willis was appointed by the legislature to be one of the first county commissioners of Monroe County. Considerable amounts of these lands are still owned by Willis descendants.
Very early after the formation of Monroe County, Stephen Thomas of Athens, Georgia began buying lands along the Ocmulgee River and soon had a very large plantation extending some two and one-half miles along the river. These lands were south of the Douglas Watson lands. It was always said that Mr. Thomas never moved from Athens but had an overseer to manage the plantation.
The land extending from the Thomas lands southward to Towaliga River was owned by James Lamar, who came over from Jones County and whose lands extended along the river and apparently included part or all of the lands later known as the Vera Long lands.
After the death of Stephan Thomas his heirs had his plantation divided up into approximate 160 acre farms and sold them. My grandfather, T. B. Jackson bought the first farm on the south and around the turn of the century my father, Owen G. Jackson, bought the next four farms to the north. Another was bought by Frank C. Jackson and a part of the Lamar land was bought by Jim S. Jackson. Most all of this land is still owned by Jackson descendants. The remainder of the Thomas lands on the north passed into the hands of Dr. John R. Shannon and J. T. Castleberry of Cabiness who never resided on these lands. These lands are still owned by descendants of these two men.
In August, 1822, the Macon and Brunswick Railroad Company bought right-of-way to extend their line from Macon to Atlanta. This eventually became the present Southern Railroad. The station established in this community was named “Frankville”. Around the turn of the century the name was changed to “Berner” in honor of Colonel Bob Berner of Forsyth.
After the station was built two stores were built. One was operated by George Cochran and his sons, Walter and John, who came over from Jasper County. T.B. Jackson operated the other one. The first post office was in the Cochran store. Soon afterward a cotton gin and an oil mill were established. In later years stores were operated at Berner by Elliott Goggans, J.D. Lane, J.J. Martin, M.B. Bridges, and A.J. Sutton.
Berner did not get a school until around 1907. Up until that time children had to walk as far as four or five miles to school at Cabiness or Juliette, whichever was closer. In order to get a school my grandfather had been told that there would have to be a certain number of children and when he finished getting children signed up the number was one short. He persuaded my mother to sign up for me to start at four years of age in order to get the school. Miss Anna Wadley of Bolingbroke was the first teacher.
When the railroad did away with the station at Berner and the post office was closed in the 1940’s the town practically ceased to exist but after State Highways no. 87 and no. 83 were built in the 1950’s the Berner Community has remained about as well populated as ever. As most everywhere else row crop farming gave way to cattle and pine trees. Recent sales of land give promise of more people building homes and coming to live in the community.
(by Robert B. Jackson)
Observation of Monroe County’s sesquicentennial places emphasis on the communities within its border. It was their composite stability that gave vigor to our county just as it has been the thousands of similar communities in our country that formed the nucleus that grew into the greatest nation on earth.
In 1823 when Monroe County was created the area was just emerging from thousands of years of wilderness. Communities, as a cohesive social force, were yet to appear.
It is not known definitely when the community of Blount was named. It was before the turn of the century — Mrs. John Butler’s contact with the Georgia Department of Archives and History elicited the information that Blount had a population of 57 in 1900. It is not known what boundary line was used in ascertaining the number of its citizens.
Following the few lines of information excerpted from the “Cyclopedia of Georgia” under the title of “Blount” is another Blount: James H. Blount. There is not the slightest hint of any connection between the two Blounts. In truth this was the man for whom Blount was named.
James H. Blount served in the U.S. Congress from 1872 to 1892. President Cleveland appointed him “Commissioner-Paramount” to the Hawaiian Islands. He died in Macon in 1903. Locally today his name evokes no recognition. His daughter, the late Mrs. Walter D. Lamar, was well known for her U.D.C. work.
Although my grandfather died in 1912, in my youth someone told me he used to have a horse named Jim Blount. Obviously he was a Jim Blount admirer, and possibly had a hand in naming this community.
If the W.H. Westbrook’s store was not Blount’s first, an earlier one is not known. One of the account books dates back to 1892 or 1893. My mind was not too perceptive around 1908, but I do recall two of the salesmen who called at the store. One was a Mr. Gilmore, and the other a Mr. Pharr who represented a tobacco company. Mr. Pharr is remembered more clearly as he always reached Blount late in the afternoon, and spent the night with my grandfather. It is recalled that Doherty-Redwine Co. of Atlanta supplied some of the merchandise. Freight came to Flovilla and was hauled out by wagon.
There is another man within my earliest recollections. I remember him as a mailman, not as a native of Blount. This was the late Augustus (Gus) Smith, who brought mail from Berner. If my memory is correct the store had a post office from which local mail was distributed. I am not sure whether my memory of Mr. Smith dates back to the post office days, or after the local mail route was established. Anyway he is one of the earliest people I can recall. For many years Blount’s mail came from Berner.
About 1910 the Freeman Brothers started operating a store, first collectively, then individually. This continued until a short time ago. Mr. Tom Stokes had a store for many years a mile south on Route 42. Then for awhile Curtis French was storekeeper. The Butler Smokehouse is now our only accommodation.
Around the turn of the century Blount had two gins. One was operated by Hooten and Westbrook, and the other by the Smiths. The first had a grist mill as an addition, and it seems to me the latter had a sawmill. Later the Stokes Brother’s Gin operated for many years.
Generally each community had its “smithy” who kept the buggies and wagons rolling on serviceable tires, made nails, hinges, and through their skills provided the community with various items made from metal. Years before I was born, Mr. Richard Smith operated a Blacksmith shop at Blount.
After the omission of a few years Mr. Ed Proctor opened a shop at Blount. During this era of maximum land cultivation he not only kept the plows sharp, but had time to be an innovator. As an improvement over the kerosene lamp, Mr. Proctor made and sold the gas light which included the automatic gas generator. With the spread of the automobile he had the additional task of keeping them running. He, also, was Blount’s first and last photographer.
After many years Olin Pettigrew opened his garage in 1941. Forthwith, many ailing cars waited patiently for the gentle touch of a master’s hand on its malfunctional components.
Blount has had a population decline, both white and black during the last five decades. The old cotton economy was an insatiable consumer of labor, but the shift to cattle and timber made this requirement unnecessary. Many of our old family names are no longer with us. A few names and faces have appeared. This counter transition is really a repudiation of urban ills. It is impossible to comprehend what changes will take place in Blount Community (and other communities) in the next 150 years. It has been such a short time from the stage coach to the moon.
If Monroe County, with the assistance of her rural communities, wishes to retain a position of respect from other Georgia counties, let her not forget the fruit of her heritage:
the Christian Verities. It is to be hoped that after another century and one half someone will be able to apply to Monroe County this line from Byron: “Time writes no wrinkles on thine azure brow.”
Here is a list of old family names from Blount and vicinity. They go back 50 years.
Freeman — Webb — Williams — King — Garr — Tingle — Weldon — Westbrook — Smith — Proctor — Holder — Sutton — Stokes — Butler — Tucker — Hutchinson — Heard — Gregory — Cuncan — Clark — Craig — Hooten — Scarbrough — Waters — Speir — Coleman — Hamilton — Jones — Morgan — Ross — (by William H. Westbrook)
Bolingbroke was first established in March 16, 1824 as Stalling’s Store, which was also the post office. The postmaster was John Stallings. The name was changed on August 8, 1844 to Prattville. On this same date William Spicer became postmaster. He was the eighth postmaster since the first establishment of the village.
The name was changed again to Colaparchee on September 10, 1850. It was finally given the name of Bolingbroke on August 28, 1866. It was given this name by William M. Wadley in honor of an Englishman, Lord Bolingbroke, whom he admired very much.
Mr. Wadley became president of the Central Railroad that same year. He bought a plantation known as the Cotton place, and lived there with his family the rest of his life.
The depot at Bolingbroke was built in 1867. The first school was established in a small house on W. 0. Wadley’s place. He hired a teacher himself and some of the neighbors came to school there as well as his own children. From that time on there was a school at Bolingbroke until all the schools in the county were consolidated at Forsyth. The children were then carried by buses to this school.
Some of the older families residing here were the Waltons, Spicers, Grays, Webbs, Lessueurs, Harrisons, Davises, Cockes, and Williamsons to name a few.
Bolingbroke was incorporated in 1912 with B. F. Harrison as Mayor.
The councilmen were R. P. Cocke, 1. F. Walton, J.R. Harrison, Walter Pritchett and Frank Wadley. The city limits extended 1/1 mile north, south, east and west from the site of the railroad depot.
It is said that some men were watching a cockfight and two men began fighting. One knocked the other over a wooden box and broke his ankle. This is how Boxankle got its name. It is located approximately six miles north of Forsyth at the intersection of Johnstonville and High Falls Roads. The militia district line between Evers and High Falls runs through there.
Originally there were two stores there. One was run by Mr. Matt Darden and the other by Mr. Wesley Ivey. Castleberry School was across the road from these stores. Some of the teachers who taught there were Evelyn Bankston, Lois Goggans, Naomi McGee, Frances Bush, Ethel Mapp and Ruth Thrash.
Also, there was a cotton gin located at Boxankle.
Some old timers were Evans, Colliers, Wrights, Iveys, ChiIds, and Vaughns
Brent is a thriving community in Monroe County located 5 miles southwest of Forsyth. The name Brent originated with the Thomas Y. Brent family who came to make their home here in the nineteenth century.
Thomas Y. Brent, formerly of Louisville, Kentucky, was a merchant in Macon, Georgia. He married Jane Smith Clements, widow of Wesley Clements who was killed while in the Confederate service. After their marriage Mr. Brent moved to the Clements farm in this community.
Jane Smith (1836-1903) and Wesley Clements had 3 children: William P., who lived on the farm; Thomas, who went to railway service in Athens, Georgia; and Lizzie, who married J.E. Chambliss of Macon, Georgia. After Jane Smith Clement’s marriage to Thomas Y. Brent, they had two children: Taylor V. (1869-1934), who stayed on the farm and is buried in the Owen Cemetery which is directly across Highway 83 from the old homestead, and J.l. who was a merchant in Macon, Georgia.
William P. Clements and Taylor V. Brent, half-brothers, were reared on the Plantation which had belonged to Jane Smith’s father. It was through the instrumentality of these two grandsons of Colonel Davis Smith that the Post Office of Brent was established. William P. Clements was postmaster. The firm of Brent and Clements was also at this same location which is northwest of the junction of Highway 83 South and Brent Road. The store carried a stock of about $3,000, and was controlled by William P. Clements and had “anything one wished to buy”.
Colonel Davis Smith (1793-1868), father of Jane Smith Clements Brent, was one of the earliest settlers of Monroe County. Early in life he engaged in merchandising in Dublin, but after his marriage to Mrs. Elizabeth Jordan, he moved to Forsyth in 1820. Soon afterwards he acquired possession of a 400-acre tract of land between 5 and 6 miles southwest of Forsyth. In 1825 he moved and settled upon it, and established a planting and mercantile interest. He became one of the largest land and slave-owners in the locality. At one time he owned 2,000 acres of land and had about a hundred slaves when emancipation was proclaimed. He was a strong Whig partisan and politician and represented the county several times in the Georgia General Assembly. He was a Missionary Baptist and a preacher of that denomination. One of his daughters, Miranda, who married Orlando Holland, was a grandmother of Frank, Carl and Miller Owen who presently live in Brent.
About one mile east of the location of the old Post Office is standing today the building which housed one of the first boarding schools in the county — Pleasant Grove Academy. It was established by Early Cleveland who came to Monroe County in the early 1820’s. He was the father-in-law of the first T.G. Scott who was born December 12, 1828, in Newton County. The Scott family is of Scotch descent, whose ancestors, as also those of General Winfield Scott, were adherents of Charles Edward, the Pretender. Mr. Scott’s grandfather and other members of the family were soldiers in the Revolutionary War. Between 1790 and 1800 his grandfather migrated from Virginia to Georgia and here Thomas G. Scott was born March, 1800 in Hancock County. He was educated at Emory College, Oxford, Georgia, and taught at Sparta and Eatonton. He was the first teacher and principal of Hilliard Institute in Monroe County. In 1862 he came with his wife, Emma L. Cleveland, to the present Scott Place. To Mr. and Mrs. Scott eight children were born: Milton C.; Lucy S.; Lizzie E.; Thomas G.; Mary, Alice, Early Cleveland, and Edwin. He was a devoted Methodist who was a preacher for many years. In 1877 he was elected county school commissioner of Monroe County. The reputation of the Scotts as educators extends far and wide. Thomas G. Scott’s grandson, Thomas G., also served as Monroe County School Superintendent from 1960 until his transfer to the Georgia Department of Education in Atlanta in 1969 where he is presently presently Chief of School Plant Services.
The available information tells us of two Monroe County sheriffs who lived at Brent. The first was Tye Holland, “Big Landie”, who never carried a gun. “He could take his shoes off and outrun any of ‘em”. J. Ray Grant, Sr. was sheriff from 1952 to 1960. Ray Grant also operated a gin which was built by John Dye. J.C. Grant, Ray’s father, purchased the present Brent Store from Milt McGinty, who owned it after the Maddoxes. This store was built by the Holland family and is presently at the intersection of Highway 83 and Hopewell Road which connects Highways 83 and 42.
Just south of the Brent Store was the courthouse which stood until a very few years ago. A short distance south of the old courthouse site are Tabernacle Methodist Church and the Brent Clubhouse, which is used as the voting precinct for Cox District.
The Brent Clubhouse was the community school until it was abandoned in 1929. Mr. Lee Rogers drove the first school bus which brought the “Brent School children” to town in September, 1930. Among the teachers of Brent School were Misses Charlie Dumas, Mary Owen, Swead Alston, Ida Mae Brooks, Nannie Belle Haygood, Freddie Stokes, Christine Home, Essie Butler, Mollie Bennett, Mollie Wilson, Bennie Chatfield, Louise Colbert, Emma Drew, Florrie Jean White, Frances Freeman, Mammie Home, and Mrs. J.M. Zellner. We were told that Mrs. Zellner taught school by daylight for $35 a month and picked cotton by moonlight on the Zellner farm which she and her husband purchased from the Gabriel Parks family.
Cox District received its name from the family of Frances R. Cox (1821-1911) who was the wife of Henry Rumble (1815-1889), a very outstanding wheelwright. They lived on the land directly across Brent Road from the old Post Office and mercantile establishment.
Another industry of great importance to the early Brent Community was the grist mill on the banks of Tobesofkee Creek. This land was, in 1826, the property of Dolphin Floyd, a grandfather of Walter L. Floyd, who presently lives within sight of the abandoned Pleasant Grove Academy. This mill presently is known as Thurmond’s mill. Jimmy and Billy Thurmond operated this grist mill for many years.
Only a few of the outstanding families of Brent have been mentioned. There were many others including Lorenzo Dow Owen (1861-1935), Elmina Owen, Marian Miller Williford (1852-1939), Hines Williford (1846-1917) and Jeremiah Smith(1794-1861). Also, Logan Peters, Charlie Dumas, Ike Bush, Jerry and Gus Howard, Anderson McGuire, W. A. Bonner, Sam Williamson, and Early Cleveland. Others were the Alexander, Haygood, Horne, Perdue, Pritchett, Treadwell, Stokes, Hogan, and Nobles.
A post office, courthouse, grist mill, 3 schools, and 3 cotton gins are past history, but 2 Methodist churches, 2 Baptist churches, a clubhouse, and a very popular store are presently the center of the community. Also, Brent has outstanding cattlemen, the county ordinary, school teachers, lawyers, and many other prominent citizens who are proud to call Brent home.
In the northeastern part of Monroe County is a little village formerly known as Gulletsville but later named Cabaniss for Judge E.G. Cabaniss a well known lawyer of the county.
Cabaniss was the home of many well-known families:Castleberry, Coleman, Goggans, Johnston, Mays, Shannon, Richard and Rufus Watson, Stephen, Frank and Bee Jackson. Many of the leading citizens of Monroe County are descendants of these families.
The old Duggy Watson place once owned by Mrs. Lillie Gamble was a fine farm called “The Plantation.” Mr. Watson drew this land when the lands in this section were all drawn by lottery. He was a prominent farmer and owned many slaves. Mr. Samuel Freeman Owned an adjoining farm. He was the father of the Freeman brothers who ran stores at Blount for many years.
Mr. John Bittick owned and lived at the Tanner place and grew fine crops. He moved to Forsyth and had business enterprises there. He was the grandfather of our sheriff.
Mr. John Willis was a large land owner and ran many plows. When his crops were laid by and before fodder pulling time, he would take all the hands on the plantation to Sookey Pruitt Branch where they panned and operated the only gold mine that was ever worked in Monroe County; and he did get quite a lot of gold. A bottle of gold dust was sent to a jewelry store in Macon and sold for a good price. There is no doubt that there is a vein of quartz rock hidden in those hills from which the gold dust came.
Mr. John A. Steele ran a large business at Cabaniss. Mr. R.P. Brooks and Mr. Jeptha Castleberry began their mercantile careers as clerks for the firm. Mr. Castleberry later became the owner and operator of a general store for Cabaniss as long as he lived. A.J. Goggans and A.J. Scarborough clerked for him. Cabariiss has had three good doctors: Dr. Bridges; Dr. John Shannon, who was also county representative, and Dr. Ben Smith. They were all dedicated to their work.
Cabaniss furnished her share of soldiers for the War Between the States, Spanish-American War, World War I and World War II.
In the early 1900’s Cabaniss was a thickly populated community and had a good, well-attended school with three teachers. It also had two wide awake churches with large memberships and good Sunday Schools. The churches were Cabaniss Baptist Church and Sunshine Methodist. Rev. Jesse Mays was among the first pastors of the Baptist Church and Rev. Doc. Hansford was the Methodist Minister.
The churches furnished meeting places for a Masonic Lodge, a Woodman Lodge and an Odd Fellow Lodge each having large memberships.
Farming was the main occupation and cotton was the chief crop. Cabaniss had two large gins which had to run day and night to accommodate their customers.
The boll weevil came and cotton could no longer be a money crop. Therefore many families moved away, some to South Georgia to become big farmers, others to towns and into business of their own or work in offices.
About this time the church and school houses needed repairs; thus, the Baptist church was repaired. It was decided to build a modern well-equipped school building on a lot near the crossroads and the two stores. This was complete with three large classrooms and a large auditorium while Mr. Jeptha Castleberry was on the Board of Education. This was the center for most community activities.
The chief occupation around Cabaniss now is pulpwood. Quite a number of residents are retired; others work in Forsyth, Jackson, and Macon. The only old land marks still standing are the Castleberry Store and dwelling which are used as a hunting lodge.
Collier Station, Monroe County, Georgia is named for Cuthbert Collier. He came from Brunswick County, Virginia to Georgia in the eighteenth century. Some of the descendants are still in Monroe County living around Collier’s Station.
Cuthbert Collier sold a good many miles of land to the Railroad Company for $5.00 in order to get it run through his property and get a station.
Cuthbert Collier is buried in a family cemetery at Colliers.
Robert (Bob) Collier, a son of Cuthbert Collier, remained in the family home and raised his family. Several of his children married and raised their families at Collier Station.
The late Mrs. Bartow Wilson (Ella Collier) was descendant. Mr. Wilson ran the little country store at Collier’s Station for years, besides a large farming interest. Miss Elizabeth Wilson and Spivey Wilson of Forsyth are their children.
The late Mrs. Oscar E. Goodwyne (Nell Collier) was a descendant. When she and Mr. Goodwyne married, they built a home at Colliers and raised a family consisting of two daughters, Bessie Tift graduates, and one son, Roland. Roland Goodwyne is still living in the home his parents built.
The late Mrs. Charlie 0. Goodwyne (Willie) was a descendant. Homer Goodwyne, her son, still lives at Collier. Two daughters also survive.
Miss Lois Collier and Mrs. Hallie Collier Mitchell of Forsyth are also descendants.
Collier Station was a farming community, growing much cotton and corn. Several farmers had their own cotton gins to gin their own cotton and for others in the community.
It was a very active community during the cotton growing.
George and John Dame settled in what is now Jones County and built a ferry, since known as Dames’ Ferry. Relatives Jarvis Green and others settled here and built houses on the Ocmulgee River.
The ferry was made in 1810 and is still in use.
John Dame married two of the daughters of Zachariah Booth, a Justice and a prominent man in the County.Mrs. Mary Virginia (Dame) Bergman, daughter of Shelby Taylor Dame, lives in Forsyth. She first married Henry Wiggins.A new concrete bridge has taken the place of the services ofthe ferry.
(By Mrs. Carl Williams)
Located thirteen miles south of Forsyth on Georgia Highway No. 42, and close by the Echeconnee Creek, Dyas, like many other rural communities in Middle Georgia shortly after the turn of the century and for many years thereafter, was a busy trading center that furnished most of the needs for a section of the southern portion of Monroe County and part of the northern part of Crawford County. At that time there were two large country stores, a well equipped blacksmith shop and a cotton gin. One of the main things that kept Dyas a thriving community during those years was the Macon and
Birmingham Railroad, plus a large farming population. Trains were in operation on this railroad as early as 1888 and Dyas had daily freight, passenger, mail and express service. Unlike today with most of the land in trees, at that time a large percent was in cultivation with cotton, the main money crop. Within this era peach production at one time thrived and got to be a big business with a number of commercial orchards and packing houses in the nearby area. To get the peach crop harvested (picked, packed, hauled to the railroad and loaded into cars) several hundred people were employed. Most of these were farm families that had “laid by their cotton” but some were outside help and some skilled fruit packers from the Florida orange belt. At that time peaches were packed in crates, hauled to the railroad at Dyas, and loaded into refrigerator cars with most of the shipments going to the New York market. The crates had to be carefully loaded into the refrigerator cars with each crate nailed down to stripping in such a manner as to allow the cold air to circulate completely around each crate so the peaches would arrive at their destination in good condition. At the peak of the season when the Elberta variety was moving, there was always a string of refrigerator cars on the side track being loaded. It was a fast business and created a lot of excitement and hustle to get the job done.
The two stores, one operated by B. F. Davis and the other by Homer Hardin, carried most everything a farm family needed. On the farming end they sold wagons, fertilizer, cotton planters, plows, fertilizer distributors, harness, heel pins, all kinds of seed and on down the line. The staple articles of food in those days were flour, meal, side-meat, syrup, lard, sugar (bulk, weighed up from a big barrel), coffee (roasted or green, whole bean or ground), cheese (cut from a big round cake), salt, spice, pepper, nutmeg, etc. etc.. Chewing tobacco in demand was Sweepstakes, Schnapps, Footprint, Apple Sun-Cured and Brown Mule. Pipe tobacco was R.J.R. Victory and Prince Albert. Cigarette tobacco — the kind you roll — was Bull Durham, Dukes Mixture and Prince Albert. A lot of snuff was sold at that time. One peculiarity of the snuff users was that those that lived south of the Echeconnee Creek used Lorillard McCaboy (white label snuff) and those north of the creek used Railroad (red label snuff). Much clothing and shoes for all members of the family were carried in stock. Overalls, jumpers and work shoes were the big sellers for the men. A well stocked line of bolt goods was carried for making dresses. This just names a few of the items carried; they had many more.
On Saturdays a Negro shoemaker from just over the line in Crawford County, by the name of Jordan Webb, would drive up with his shoe shop (a big chest) strapped on the back of his buggy. He would set up shop on the porch of the Hardin Store and open for business. He was a first class cobbler, doing everything by hand. The big business in shoe repair at that time was putting on half-soles. Needless to say, he was kept busy.
Some of the farmers would have to have some financial help in making a cotton crop. Part of this help was done by the stores. They would “run” them from cotton planting until cotton ginning time, that is with a note against the crop they would furnish most of the things necessary to make the crop.
A blacksmith shop was a necessity during this period of time when mules, wagons, horses and buggies were the order of the day. Dyas was fortunate in having one of the better shops. This was operated by George Baggarly and his son, Homer Baggarly. Putting shoes on mules was big business as there were many of them in this area. There was a lot of work involved in keeping wagons in running shape, sharpening plow points, scrapes and the many other things necessary in keeping horse or mule drawn equipment operating. In time the blacksmith shop added a grist mill and did a good business making corn meal.
The train service through Dyas on the Macon and Birmingham Railroad was between Macon and LaGrange. B. F. Davis was the agent for both passenger and freight. For many years there was a passenger train arriving at 10 a.m. from LaGrange going to Macon. This was the main way of going to Macon from this area and people would come for miles around to “catch” this train. They could attend to whatever business they had in Macon and get a train back at 6 p.m. Captain WaIler was the conductor on this train. He was about seven feet tall, a kind of law and order man that kept everything under control on his train. He had a spell of sickness at one time and they thought he died (so it was reported). They couldn’t find a casket in Macon long enough to put him in, and by the time they got it, he had revived up and lived for several years. Sometimes during the year they would have “excursions” on the railroad — that is, cheap rates for some special event or occasion. One in particular would go to Warm Springs which at that time was a summer resort. Trains always created interest and excitement. Young couples out courting and buggy riding would make it a point to be at Dyas at 6 o’clock on Sunday evening to see the train come in from Macon. Some of the high spirited horses couldn’t stand it and they would wheel and take off when the train came roaring in.
All of the train engines at that time were steam engines with whistles and steam whistles and trains went together like ham and eggs. There was one engineer in particular who ran a freight train, that stood out from all the rest. He had a machinist at the railroad shops make him a special whistle for his engine; and when he would blow that whistle, he had the touch of an artist. Just about every man and boy along the railroad knew when they heard this train coming that Charlie Avant was at the throttle. He had that whistle going, and he just about gave a musical concert, It was a beautiful melody, if you please, something that you don’t ever forget.
Usually there were several sawmills in the area and a lot of lumber was shipped from Dyas. At times most of the space on the side track would be filled with lumber waiting to be loaded on cars.
Dyas had a postoffice but no rural route went out from here. The postoffice was located in Homer Hardin’s store and he was the postmaster. The immediate area and that section south of Dyas in Monroe and Crawford Counties that had no rural carrier were served by the Dyas postoffice.
As mentioned earlier cotton was the money crop and everything was geared for cotton production. The first cotton gin at Dyas was built and operated by J. J. Holloway and Charles Evans in 1905. The next year it was operated by Holloway and Hardin and the next, 1907, it was sold to J. S. Jossey of Forsyth who continued operating it here at Dyas until sold to J. E. Abercrombie, who in turn was followed by B. F. Davis who built a completely new gin. When ginning season got into full swing there would be a long line of wagons, loaded with cotton, waiting their turn at the gin, with the gin running from early morning until late at night. Cotton seed was a big by-product of the cotton business. They were usually sold at the gin or to an independent buyer. There were a number of cotton seed houses along the railroad side track, and the seed was stored there and loaded into freight cars. The baled cotton was sometimes carrier back home but a lot of it was unloaded on the platform at the railroad station for shipment to cotton buyers in Macon. Sometimes the railroad was unable to move it as fast as it accumulated at the station and there would be many bales awaiting shipment.
During this period the Woodmen of the World built a two story building and had an active lodge with many members here at Dy as.
The public school system for the Dyas area during this time was consolidated with Russellville and a building was built between Dyas and Russeliville, about a mile north of Dyas. This was in time enlarged to several rooms with an auditorium, with several teachers, including a music teacher.
An unforgettable character during this time was a Negro man by the name of Aaron Bryant. He caught a lot of fish on the Echeconnee Creek. He had many short fishing poles that he called set hooks that he would put out up and down the creek late in the day. The next morning he usually had a nice
lot of fish that he would sell. I was a boy at the time and what makes me remember him so well was one cold Saturday (Saturday was always an extra busy day at Dyas) when he showed me another source of income that he had. He had on several coats with many pockets and an old army overcoat from the Spanish-American war that also had many pockets including a split tail with buttoned up pockets there. He was loaded down with pints and half-pints of moonshine, a regular walking saloon. He would take his customers behind one of the cottonseed houses on the railroad and sell them anything from a drink on up.
Some of the families that were an active part of this community and area were the Barnes, O’Neal, Anderson, Raines, Wilder, Sharp, Harrison, Allen, Holston, Lindsey, Harbuck, Wilson, Molton, Marshall, Wiggins, Davis, Baggarly, Hardin, Holloway, Abercrombie, Evans, Grant, Huguley, Pierson and Haygood families.
Farming alt over Monroe County was going strong about the time of World War I, but shortly therefter this little insect called the boll weevil made his presence felt in no uncertain terms. The ginning report for 1918 shows 25,234 bales of cotton ginned (500 pound bales) in Monroe County. The ginning report of 1922 shows 520 bales ginned. The boll weevil had gotten his job done. Farmers in the county by the hundreds lost their farms, their life savings and their source of employment. Many of them had to leave and seek other places to make a living. The 1920 census shows 20,138 people living in Monroe County. By 1930, as shown by the census, the population had dropped to 11,606. The Dyas community was hard hit by this major economic condition. In October of 1922 all trains stopped running on the Macon and Birmingham Railroad. It was just a matter of time until a place that once had been a thriving rural area ceased to be that any more. About the most outstanding landmark left is the old railroad depot. It still stands as a reminder of those by-gone days.(By Homer J. Hardin)
(Click on Picture to enlarge)
'A Brief History of Forsyth
The City of Forsyth, named for statesman John Forsyth, was incorporated in 1823; however, settlers had already moved to the Forsyth location several years before that time. Original city limits were within a one-half mile radius from the Monroe County courthouse; this was increased to a one mile radius in 1907. The form of government is Mayor and City Council. Land to form the city was 202-1/2 acres, purchased from John T. Booth on February 18, 1823, for $700. Forsyth was laid out in lots of 2-1/2 acres each: By 1827, there was a jail, a log courthouse and seventy buildings. As Forsyth grew, spurred by the arrival of the railroad in 1838, its early 19th century layout was expanded and adapted to rapid and intensive commercial growth between the mid 19th and early 20th centuries. Of the many agricultural products in the area, cotton became dominant. With the establishment of numerous academies through the years and the chartering of Tift College (originally Monroe Female College) in 1849, Forsyth became known as a center of education and culture. Among its early medical endeavors was the Southern Botanical Medical College (1839-1846). At the turn of the century, two textile mills were established and were soon followed by other cotton-related enterprises. Today agriculture has declined but timber and its related industries have grown tremendously. One of the original textile mills is still in full operation; and among the nearby industries are the huge Georgia Power Plant Scherer and the Georgia Public Safety Training Center. Forsyth is blessed with a large number of beautiful and historic homes. Other notable buildings include the first railroad depot (1846-1848), the courthouse (1896), a later train depot (1899) which now houses the Monroe County Museum and store, and the old Mary Persons High School (1929). Much of the downtown Square area is on the Historic Register.
As I walked along the banks of the Towaliga River below the falls at High Falls and looked across the river to the old power plant that now stands as a gaunt and sightless reminder of the past, I reflected upon the history of High Falls. Named for the great drop in the river bed, it has come from a Creek Indian Village to a small settlement, to a thriving country manufacturing metropolis; to a ghost town, and to the present thriving community with its large State Park, its merchandising and manufacturing business.
Early history tells us that High Falls was an outpost of sorts for the main Creek Village at Indian Springs. It is believed that this camp was located on what is now a part of the Proctor farm in High Falls. Credibility is given to this belief by the amount of arrowheads, bits of pottery as well as an occasional stone axe that can be found in one place covering about an acre on this farm.
As the hearty Scotch-Irish emmigrants began to come in from North Carolina to settle in the High Falls-Blount area, the Indians moved out and gave up the area. High Falls became one of the first settlements to come into existence in what is now Monroe County. Due to the readily available pure water and the forest resources for building homes, High Falls grew steadily for several decades. As the population grew, needs developed and these needs could only be settled by the people. As the requirements for lumber grew, a sawmill was set up. It was one of the earliest sawmills in the state of Georgia and was a simple apparatus but it did help to alleviate the need for lumber. Crops began to be grown as land was cleared and a need for machinery to process these materials developed. Much later a grist mill, a cotton gin, a carding plant, a bedding factory and a shoe factory were built. Of course, various stores or trading posts were set up to cater to the local trade. Much of this was done under the auspices of Dr. Wynn and Mr.
O.H.B. Bloodworth. In approximately 1890 the Towaliga Falls Power Company built a dam and power plant at High Falls to generate power for the cotton mills in Griffin. Thus, over the years High Falls came into being.
However, with the coming of the railroad in the 1800’s to the Milner-Barnesville section it became not feasible to continue the manufacturing operations and most of this business moved toward the railroad. Because of this, High Falls became practically a ghost town. For many years and on into the 1950’s and early 1960’s there remained only one store, the grist mill and the power plant in operation. People moved away from High Falls in droves due to the lack of work and the great Malaria epidemic.
In the early 1960’s the Georgia Game and Fish Commission obtained the 700 acre lake and some other real estate from the Bowaters Paper Company as a gift and established an experimental state park. Due to the fact that the Game & Fish Commission was not equipped to handle this type of operation, they turned this property over to the State Park Department. The State Park Department immediately set out to develop a nice park and the economy of the vicinity took an immediate upturn. Stores came into existence, property values increased, and subdivisions began to be built. Hordes of people swarmed here to fish, camp, and become permanent residents. This has been due to the beauty and serenity of High Falls. One manufacturing plant, High Falls Milling Co., was built mainly because of the proximity and easy access to 1-75 Highway. Mr. John Wilson built a fine restaurant and draws multitudes of people from surrounding areas. High Falls has now surpassed what it was over one hundred years ago.
High Falls is also proud of its religious history. Over the years churches were established by the various faiths. It is especially proud of Providence Methodist Church which is the Mother Church of the Congregational Methodist Church. Having been established in 1852 in the home of Mickleberry Merrit it has boasted the name of Flynt, Ogletree, Gunn and many other prominent families of the vicinity upon its rolls.
High Falls, having made its indelible mark upon the history of Monroe County, has been and is here to stay.
As a supplement: Some former residents who have had their part in the development of High Falls: Walter W. Wynn, Sr., Miller; William H. Steele, Doctor; John Phinazee, Lawyer and Politician; Absolom Ogletree, Minister; Joel H. Harrison, Power Plant Supt.; Dr. Gladys T. Medlock, Lawyer; T. Homer Ham, Farmer; J. Norman Ham, Farmer; Erasmus R. Ham, Farmer & Manufacturer; Golden Evans, Negro man who discovered sulphur spring at HF; O.H.B. Bloodworth, Farmer, Merchant and Manufacturer.
(by Joe W. Proctor)
Established in 1821, Johnstonville was the first county seat of Monroe County. It was named for the Johnston family which came here from South Carolina. The old homeplace of John Johnston, the original settler, is still standing and still in the family.
In 1821, Monroe County extended from Houston County to Fayette County and from the Ocmulgee to the Flint River. Later both Bibb and Pike County were formed largely from it. Pike subsequently was divided into Spaulding, Upson and Butts County. Johnstonville is now well within the present county of Lamar.
Johnstonville was the first district organized in Monroe County. John C. Poe was Justice of the Peace. Mr. Goggins was Baliff. They had an old courthouse where they held court near the Fleming store.
Juliette which was first named Brownsville, is located ten miles east of Forsyth on Georgia Highway 87 and close to the Ocmulgee River, in Middlebrooks district, a rural community which was a very thriving little “town” at one time. It was named for Juliette McCracken, whose father was the engineer who supervised the grading and laying of the railroad through Juliette in 1882. The railroad was at that time East Tennessee, Virginia, and Georgia, now Southern Railroad.
There are several churches. The white churches are The Juliette Methodist Church, organized 1885, Juliette Baptist Church, 1914, Ephesus Primitive Baptist Church, 1859 — this being the second church. The land was bought in 1830 but all records were lost of the first church. There are three Negro churches near Juliette: Springhill Baptist Church, St. Paul Methodist Church, and St. Peter’s Rock Baptist Church.
Juliette has a new post office with the rural route out from here. Some postmasters have been Mrs. D. S. Driskell, R. B. Giles, C. Ben Smith, R. L. Williams, Sr., Mrs. Marie McCord Richardson, Harold Williams, Sr. and John Atkinson, Jr.
Some of the depot agents for the Southern railroad were Lon Pitts, E. M. Williams, 0. B. Ingram, Roscoe C. Dickey, J. M. Jackson, Kirby Edwards, M. B. Bridges and Johnnie Harkness.
The school building was erected near the Methodist church before 1900 but the school has since been consolidated with Forsyth. The first school was held at the Redding home several miles out from here.
Through the years Juliette could boast of several cotton gins, a large planer mill, sawmills, cafe, hotel, depot, courthouse, post office, a good school, barbershop, several doctors, active churches, several stores with a large stock of merchandise, and a grist mill, the largest of its kind in the world.
At one time there was a Masonic Lodge and a Woodmen of the World camp both with a flourishing membership.
Some family names who have left their mark and memories through the years at Juliette are Smith, Chambless, Redding, Bowdoin, McGee, Driskell, Greer, Adams, Williams, Goolsby, Glover, Zeliner, Williamson, Middlebrooks, Kelly, Speir, Little and Harrison.
Early physicians who practiced here were Dr. Cullen Goolsby, Sr., Dr. W. J. Smith and Dr. William Speir.
The Maynard Community was the scene of several busi nesses in the late 1890’s and early 1900’s.
Mr. Milt Goodwyne owned and operated a grist mill on Rum Creek.
Mr. McCommon ran a store at his home and also a stable where he would shoe horses. Mr. W.D. Thurmond ran a cotton gin at the foot of the hill near Maynard Church.
Mr. Jep Tribble ran a store at Blue Store Road and a store was also operated by J.B. Edwards near Harmon Vedder’s present home.
Charlie and Pearl Lunsford moved into the Maynard Community in 1898 and built a three room home. As the family grew so did the house. This home is the oldest in the community and still has the original rooms. Also, this home has always been occupied by the Lunsford family.
One place of particular interest near Maynard is the site of Mrs. Cecil Olin Trammell’s home.
It is believed that Mr. W.A. McCommon built the store which became known as Blue Store about one hundred years ago. It was about fourteen feet long and sixteen feet wide and painted blue. Mrs. Trammell says that the original house at Blue Store Place consisted of two rooms built of huge lightwood logs. It has been modified greatly in the last thirty years.
Pope’s Ferry derived its name from the family of Ida Pope Hunt, wife of Koscuisko Charles Taylor. Relatives of Ida’s three brothers Allen Hunt, Cullen Hunt, and John Hunt settled on the Ocmulgee River about fifteen miles north of Macon.
It is thought that through their river property, a trail led from Jones County to a crossing on the Flint River. In 1819, a ferry operated by Cullen Pope was used to cross the Ocmulgee on this old trail.
Pope made known through the pages of a Milledgeville newspaper the advantages of using his ferry on the stage coach route. It was described as being fourteen miles from Fort Hawkins in East Macon on the direct route from upper Georgia to the Creek Agency. By using Pope’s Ferry travelers were assured they could save one day’s time on their westward journey.
The railroad came through Pope’s Ferry in 1881. A depot and express office were built near the railroad as well as a school house. Eligah Taylor, a kinsman, was the headmaster.
Also near the station stood a gin house where lines of oxen and mule drawn wagons filled with cotton awaited their turn on hot summer days in late August and September for the ginning and baling.
Mr. Job Taylor and Mr. Renfroe Taylor built a large two story building at Pope’s Ferry near the railroad station. The upper story was used for a skating rink and square dancing. Corn meal was sprinkled on the floor of the dance hall and as the youthful dancers square danced, more corn meal was sprinkled and the floor became very slick. The lower floor was used for a general store, dealing in groceries and other merchandise. The leading banjo players were Mr. Woodfin Davis and Ben Edwards and the latter now resides near Pope’s Ferry.
Across the road from the dance hall, a post office and another general store were built and Mr. West Davis became postmaster and general manager of the store. Like many country stores on those days, this general store boasted a long bench outside near the front door and ladies used the braces of this bench as a hitching post for their horses while they awaited their mail at train time.
The Dixie Lumber Company located a planing mill, which was owned by Dr. Charles J. Yates at Pope’s Ferry about 1917. The community of Pope’s Ferry boomed with so many employees at the new mill that new houses were built all over the area for the newcomers.
Mr. Charles J. Yates had a ferry boat made by Taylor Iron Works in Macon to be used at the old Pope’s Ferry crossing and Mr. George Gresham was named ferryman. When Mr. Yates moved his mill from Pope’s Ferry to Dame’s Ferry, the ferry boat was taken up the Ocmulgee River to the new site of the mill. In 1931, when the crossing at Dame’s Ferry was made a public road, Mr. Yates donated his ferry boat to Monroe and Jones Counties and Mr. George Gresham, long time ferryman for Mr. Yates, continued in the service for the two counties.
Russellville is one of the oldest sections of Monroe County Georgia. The original survey was made August 18, 1821 by James Whatley and it was called the 12th District, later changed to Russellville. In the years following there were many settlers and landowners to make up this section of the county.
Russellville was named for a man that lived one half of a mile up the road leading to Barnesville from Russellville. The name Alexander Russell was listed as a trustee of the Russellville Academy by the General Assembly of Georgia in 1837 and in all probability was the one for whom Russellville was named. Along with him as trustees were Josiah Jordan, James Hardin, John Chewing (maybe Cheney) and James Watson.
The academy was located a little farther west on the south side of the Barnesville road and most of the people got their education at this school. Some of the wealthy families had private instructors. Near this same location called the Lampkin place was a Methodist Camp ground, where people from far and near came for fellowship and spiritual revival.
In years gone by Russellville was the business center for this section. At a large general store one could purchase most of the things needed. This same building was still in use until 1929 when it was destroyed by fire. It also served as a post office, and the earliest postmaster that we have a record of was the late Mr. T.J. Hardin. The mail was delivered by a rider on horseback. We are told that postage was extremely high at that time. Maybe as much as $1.50 for a letter. This same building might have served as a courthouse also as one was not ere until the twentieth century.
There was a gin house for cotton but it was burned when Sherman’s Army came through. There was also a barber shop where the men would congregate, and a barber shop quartet was formed. A band provided music for enjoyment and the large balls held.
South of Russellville was a manufacturing place owned by the Huckabys. They built wagons, furniture and coffins, and they had a large blacksmith shop.
Modes of transportation were limited in the early days. There might have been a stage coach route at one time, but families that were able had surreys drawn by horses.
James Hardin and his wife Mary Reeves were among the first of the pioneer settlers of Monroe County Georgia. They were married on January 20, 1818 and settled at Russellville in the 1820’s. From this union there were a large number of descendants. William Reeves Hardin, a son, signed an oath of allegiance to the United States of America, with reference to the emancipation of slaves. Bill Hardin, as he was called, was the father of T. J. Hardin, Frank Hardin, Reeves Hardin, Homer Hardin and Charles Hardin. They were some of the pillars of Russellville Baptist Church, and added much to the history of this section.
The plantations were owned by respected persons; and although they have all passed away, some of their names are still remembered: Byrds, Lampkins, Russells, Wilsons, Hardins, Evans, Bazemores, Rails, Huguleys, Maynards, Browns, Zellners, Montgomery, Crooms, Wootens, Jordans, Smiths, Huckabys, Duncans, Polhills and Harvills. Others are listed on the old Church record. (Sister Precious Russell might have been the wife of Alexande Russell).
At one of the sites of the Evans family a group of Sherman’s Army camped for the night.
Five miles south of Russellville, the John Andersons lived. He had fought all through the war and was hated by the Northern Army because of his opposition and his ownership of slaves. When Sherman came through, Mr. Anderson, being a Mason, gave the Masonic sign and was recognized. He asked for protection of his ginnery and cotton. A guard was provided until nightfall but the next group burned it to the ground. A beautiful black eyed daughter was in the home when it was ransacked, and one of the young men proposed marriage. He was rejected and she slammed the door in his face.
Around 1875, a one room school was built across the road from the Russell home. At a later date, Mr. John P. Wilson, whose grandfather immigrated to this country from Scotland, purchased the property formerly owned by the Russells. The Wilson home provided a boarding place for some of the teachers. Children attended this school until a new one consolidated with Dyas was built.
At one time Russellville could boast of a well-loved doctor. A general practiconer, Dr. Montgomery had his own apothecary shop. He traveled on horseback and carried his medicines in his saddlebag. He delivered most of the children for miles around.
New named have been added, buildings and homes have been constructed, men have been born and have died, but the Russellville Baptist Church, founded in 1849, is still a beacon light, pointing the young and old to Jesus Christ.
(Written by Agnes Harrison Wilson, wife of the late Howell Montgomery Wilson, Help provided by Jean Daniel Martin, February 22, 1973.)
Mr. Andrew Smarr gave permission for a railroad to be built through his land. It extended from Macon to Forsyth in 1823. The few settlers honored Mr. Smarr by giving the community the name of Smarr. It is five miles southeast of Forsyth, twenty miles north of Macon, and about the geographical center of Monroe County.
Besides Mr. Smarr, Mr. Andrew Zellner, the McCowans, Dixons, Reddings, Taylors, and Perkins were among the first settlers. In 1830 Job Taylor staked and claimed from the government a triangular tract from Smarr to the Ocmulgee River, then southeasterly to Macon, back northward to Smarr. His original home was destroyed by fire. G. P. Rumble lives on the home site now. E. R. Davis moved his family here from Morgan County and settled on the Redding estate. The old Monroe Thrash house in Smarr still stands from pre-Civil War days.
Within a radius of three miles east of Smarr, three doctors lived and traveled horseback. These were Drs. Oscar Collins, Foster Shi, and Tom Hollis. This was in and following the Civil War.
Three miles east of Smarr, its first school was built of logs with a rock and mud chimney. The parents of nine small pupils paid Mr. Harrison, the teacher who rode horseback from Bolingbroke. Near the school a company of Confederate soldiers were camped about the close of the War. Six graves mark the camp site.
As the community grew, Mr. Leroy Thrash gave an acre of land and a large school building was built which accommodated 75 to 80 pupils. Prof. Elijah B. Taylor taught there for several years. Another building replaced this one and there was room for two teachers.
The first railroad depot was a freight box-car placed on the side track. Mr. J. L. Smarr was agent. Years later a two-waiting room depot was built with a large freight room and loading platform. Miss Rudie Moore was agent.
D. O. Trammell and W. D. McCowan put up a cotton gin. Immediately George A. Davis built one nearby. The first grocery stores were operated by Trammell, J. A. Davis and L. N. Thrash. Mr. Tom Gray began his store probably a little earlier.
The post office occupied a corner in the general store of Trammell and McCowan. A seventy mile rural route was sent out from here in 1905. It was an all-day trip by horse and buggy. The present post office is in the corner of the J. W. Ham Grocery Store. Mrs. J. W. Ham has been the postmaster for the past twenty years.
We once boasted of a small courthouse where small civil cases were presided over by a Justice of the Peace.
During the War Between The States 1860-1865 there were three men from Smarr community who served on the Confederate side. Mr. John Brantley and Mr. Leroy N. Thrash were on active duty at the front. William Elbert Davis was a Home Guard under age for service.
In World War I, from here were Carl Gose, Hunter Trammell, Dr. Tom Woodward, Henry Eady, John Ham and Harry Adair.
(by Mrs. J. W. Ham)
Among the very first to settle in the Strouds community, and who remained throughout the years, were Benjamin Haygood, Sr., Benjamin Haygood, Jr., both of Clarke County, Levi Stroud, Sr. of Walton County, William K. Oxford of Jones County, Zack Huguley, Eleazar Adams, Allen Wood, Braxton Bird, Kellis Bridges (he died rather early), and Spencer Sullivan.
In the 1880’s Mrs. Latimer Stokes taught a school near her house which later became the house of Lee Rodgers. There was a school on the Sharon Church grounds about then. Mr. A. C. Rhodes, followed by John Danielly, taught there. A little later the school was moved to the Barnesville road, across from the Zack Abercrombie home. Mrs. Tammie Dumas Sullivan, Miss Mamie Redding and Miss Floy Whipple were the teachers who taught there. Later the school, before consolidation, was located near Strouds Crossroads, on the Barnesville road. The teachers there were Edd Thurmond, Tom Thurmond, John Danielly, Mr. Renfroe who lived at Stroud Crossroads at the time, Mrs. Annie Sneed Rowland, Mrs. Monroe Zellner, Miss Lucy Worsham, (Mrs. C.F. Nelson now), Nannie Worsham, Mrs. Bob Holder, Naomi McGee (Mrs. Omer Ingram), Miss Nannie Dumas, Louise Zeilner and Emma Worsham.
Strouds has had three churches in its history: Mays Methodist Church, Kings Chapel Methodist Church, and Sharon Baptist Church, later called Sharon Primitive Baptist Church.
During the latter part of the century there were two stores at Strouds Crossroads. Ben Clements, grandson of Levi Stroud, Sr. and great-grandson of Benjamin Haygood, Sr. ran one store followed by William Parker who lived nearby, then Jim Mays, nephew of William Parker, and later George Elder, grandson of William Parker.
Mr. Bloodworth, who lived nearby ran the other store, followed by John Abercrombie, then Kelly Abercrombie whose widow now has it rented to Bob Wilder. A store one mile above Strouds was run by Henry Abercrombie, then the Eldors, now Mrs. Beeland.
Known postmasters around the beginning of the present century, and a little before, were Jim Mays, son of Mrs. G. Flynt by a former marriage, John Clements who could have been keeping it for William Parker for whom he was working, Sam Britt who lived in the community and ran a shoe shop there, and Kelly Abercrombie.
Around the beginning of the century Dr. J. G. Caldwell who lived at Strouds Crossroads practiced medicine. Dr. Jamerson, son-in-law of Pinkney Persons, Jr., who lived nearby, practiced awhile there followed by Dr. Wilson who lived nearby. Dr. Dickey, previous to those, lived at Strouds Crossroads and perhaps practiced there.
(From “History of Strouds Community in Monroe County, Georgia,” written in 1958 by Nannie M. Worsham.)
Compilation Copyright 1997 - Present by The GAGenWeb Project Team
